ที่ดินว่างเปล่าแถววัดศรีนวล หนองแขม ขายด่วน ราคาถูก
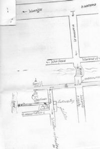
ที่ดินว่างเปล่าถมแล้ว จำนวน 6 ไร่ 1 งาน 44 ตารางวา ติดถนนวัดศรีนวล ปากทางเข้าวัดศรีนวล ใกล้โรงเรียนมัธยมวัดหนองแขม มีรถเมล์สาย 80 ผ่านหน้าที่ดิน ด้านหลังติดคลองสาธารณะ ขายด่วน ต.ร.ว. ละ 10,000 บาท
|  | 
| ยี่ห้อ: | - | รุ่น: | - | 
| สภาพ: | ใหม่ | ความสมบูรณ์: | 100% | 
| ราคา: | - | ต้องการ: | ไม่ระบุ | 
| เลขบัตรประชาชน: | 310010098XXX | IP Address: | 58.9.112.55 | 
| ติดต่อ: | ภาสยา | อีเมล์: | |
| โทรศัพย์: | 02-8088692 | มือถือ: | 089-6139889 | 
| จังหวัด: | กรุงเทพมหานคร | ||
| ที่อยู่: | - | ||
| คำค้น: | หาที่ดินแถวหนองแขม | ที่ดินราคาถูกหนองแขม | ขายที่ดินราคาถูกหนองแขม | ขายด่วน | ที่ดิน | ขายที่ดินย่านวัดสีนวลหนองแขม | ราคาที่ดินวัดศรีนวล | ที่ดินราคาถูกยย่านหนองแขม | | ||
